HURÁN IDA LLEGA A SUR DE ESTADOS UNIDOS, DEJA A UN MILLÓN DE PERSONAS SIN ENERGÍA ELÉCTRICA
BBC NEWS MUNDO/ DOMINGO 29 DE AGOSTO 2021/
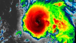
El huracán Ida tocó tierra en Estados Unidos el domingo por la tarde con una intensidad de categoría 4, con vientos máximos sostenidos de 240 km/h, una de las mayores tormentas en alcanzar el sur del país.
Su llegada coincide precisamentecon el aniversario del paso del devastador huracán Katrina por Nueva Orleans hace 16 años.
IMAGEN DE REUTERS
El Centro Nacional de Huracanes (NHC, por sus siglas en inglés) informó que el «extremadamente peligroso» huracán tocó tierra cerca de Port Fourchon, Luisiana, al mediodía de este domingo.
Al haber alcanzado la categoría 4 de 5 en la escala Saffir-Simpson, tenía la fuerza suficiente para causar daños severos a edificios, árboles y líneas eléctricas.
La velocidad del viento comenzó a decaer a medida que el huracán fue moviéndose hacia al interior, el lunes por la mañana, lo que significa un cambio a categoria 1, con vientos de 153 Km por hora.
REDACCIÓN BBCNEWSMUNDO/28 agosto 2021/
Los residentes de Luisiana se preparan para lo que puede ser una feroz tormenta precisamente en el aniversario del paso del huracán Katrina por Nueva Orleans hace 16 años.
Decenas de miles de personas huyen de ese estado sureño de Estados Unidos mientras Ida se acerca a sus costas.
Ida es ahora huracán de categoría 4, a un paso del máximo nivel, con vientos sostenidos de alredededor de 225 km/h.
Se espera que toque tierra en el golfo de México este domingo y provoque marejadas que pueden ser «una amenaza para la vida».
Las previsiones observan que Ida puede ser incluso más fuerte que el huracán Katrina que devastó gran parte de Nueva Orleans en 2005.
Atascos de tráfico colapsaron las autovías de salida de Luisiana, donde los residentes de múltiples áreas recibieron órdenes de evacuación.
El gobernador John Bel Edwards señaló que la tormenta puede ser una de las más grandes en golpear el estado en 150 años.
«Se les acaba el tiempo», advirtió a los residentes este sábado.
«Para cuando se vayan a la cama esta noche, necesitan estar allá donde vayan a pasar la tormenta y necesitan estar tan preparados como sea posible, porque el tiempo empezará a deteriorarse muy rápidamente mañana (
el domingo]».
El gobernador del estado vecino de Misisipi, Tate Reeves, declaró el estado de emergencia.
El presidente de Estados Unidos, Joe Biden, dijo que Ida se está convirtiendo «en una tormenta muy muy peligrosa» y anunció que el gobierno federal está listo para proveer ayuda.
El huracán se está intensificando sobre las cálidas aguas del golfo de México, lo que hizo que subiera de categoría 2 a una extremadamente peligrosa tormenta de categoría 4.
Se espera que vientos con fuerza de tormenta tropical atraviesen Luisiana desde la mañana del domingo.
Aniversario de Katrina
Se da la causalidad de que este domingo se cumplen 16 años del huracán Katrina que golpeó Nueva Orleans como huracán de categoría 3.
Katrina inundó el 80% de la ciudad y causó más de 1.800 muertos.
«Estoy absolutamente devastada al pensar en aquellas comunidades bajo órdenes de evacuación obligatoria», le dijo a la BBC Alessandra Jerolleman, experta en gestión de emergencias en la Universidad Tulane de Nueva Orleans, mientras huía en su auto.
«Se anticipan daños catastróficos y sustanciales, se prevé que haya inundaciones y se perderán vehículos».
Más de 80 torres de perforación del golfo de México fueron evacuadas y la mitad de la producción de gas y petróleo de la región se ha suspendido.
Paso por Cuba
Previamente, Ida pasó por Cuba, arrancando árboles y causando destrozos en tejados, mientras que Jamaica sufrió fuertes lluvias. No hubo informes de muertos.
El impacto del cambio climático en la frecuencia de las tormentas todavía no está claro, pero las temperaturas en aumento de la superficie de los mares calientan el aire sobre ellos y hacen que haya más energía disponible para impulsar huracanes, ciclones y tifones.
Como resultado, estos fenómenos tienden a ser más intensos con lluvias más extremas.
Expertos dicen que si las marejadas golpean en un momento que coincida con la marea alta, el nivel del mar puede sobrepasar el sistema de diques de Nueva Orleans e introducirse en la ciudad.https:










